概述:荐髂关节脱位及髂骨骨折为临床常见疾病,有可能单侧也有可能双侧性的,常见无车祸,高楼摔伤等外力因素,另外也可见于感染,肿瘤,代谢异常等非外力性病因,这类疾病的处理流程先处理危及生命的损伤,稳定动物体况后再评估神经损伤的情况,神经功能恢复难以判断,但是深痛消失是预后不良的重要指征。该病例车祸导致荐髂关节骨折和髂骨骨折,同时伴有膀胱破裂的案例,报告如下。
1. 病例介绍
中华田园犬,2岁,雄性,体重6.9kg,正常免疫和驱虫,身体健康良好,因车祸来我院就诊,动物侧卧无法站立,意识清醒,脑神经反射正常,可见呼吸急促,,按压腹部疼痛,后腹部腹侧阴茎两侧大面积皮肤损伤,淤血,有少部分溃烂,龟头可见颜色变紫色。后肢神经反射正常,双后肢内侧均有皮肤溃烂,呼吸次数54/min,心率162次/min,体温(肛温39.2),黏膜颜色稍有泛白,
2. 诊断过程
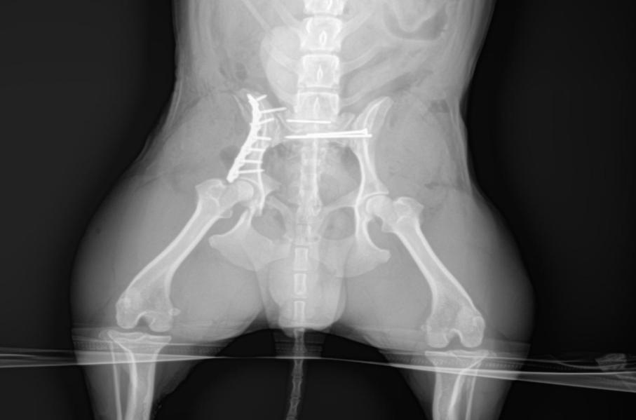
由于精神状态和生命体征暂时比较稳定,但动物较为疼痛,固止疼镇静处理,体格检查后可见后腹部腹侧阴茎两侧大面积皮肤损伤,淤血,有少部分溃烂,双后肢内侧均有皮肤溃烂,神经学检查未见明显异常,进行骨盆和腹部X光片检查,检查结果显示左侧髂骨体骨折,坐骨骨折,耻骨骨折,右侧荐髂关节骨折,另外可见腹部膀胱影像不明显,考虑到是后腹部车祸伤,有可能会导致膀胱破裂,对其进行膀胱造影,造影剂显示弥散性散开膀胱破裂。


全血细胞计数(CBC),生化全项检查,血常规可见白细胞轻度升高18.8/l(6.0-17.0),血红蛋白升高198g/l(110-190),红细胞压积升高57.7%(39-55),
生化结果显示天门冬氨酸氨基转移酶(AST)升高143u/l(0-50),肌酸激酶(CK)升高3876u/l(10-200),其他均在正常范围内
1. 手术治疗
3.1犬左前肢建立头静脉留置针,给予布托啡诺镇痛,丙泊汾35mg静脉推注诱导后,气管插管异氟烷维持麻醉,术中0.9%氯化钠维持输液。待麻醉平稳后腹部及左右侧髂骨体处大面积剃毛备毛,4%葡萄糖洗必泰刷洗皮肤消毒和去除皮肤表面油渍,转移至手术室准备手术。
3.2 术前插入单腔导尿管防止残留尿液外流,经后腹中线切口进行,皮肤切口延伸到包皮的侧面,以暴露后面的中线,腹腔打开后可见膀胱顶破裂,腹中可见有血液渗出,清除膀胱顶坏死组织,更换双腔导尿管,缝合时平行伤口进针进行库兴氏缝合,缝合时要与对侧轻微重叠,每次缝合后都应该轻度收紧缝线,使膀胱壁内翻,最后一针要越过切口,不要打结,立即开始伦伯特缝合,缝合时往回盖住库兴氏缝合。垂直伤口进针。为避免使用镊子,进针时保持拉紧缝线。因为膀胱壁已经内翻伦伯特缝合只要像简单连续缝合一样进行即可,结束第二层缝合后与之前保留的线尾打结。加温后的生理盐水大量冲洗腹腔,防止尿液残留导致腹腔感染,吸引器吸净腹腔冲洗液后缝合腹部肌肉,皮肤。
3.3荐髂关节脱位整复固定:将犬置于塑性垫上右侧卧保定,皮肤切口向前始于髂背侧前棘,继续向后与其中线平行延伸至接近髋关节,沿切口线切开皮下组织,臀筋膜和脂肪,行髂骨背侧手术通路钝性分离臀中肌和荐棘肌,显露错位的荐髂关节,将髂骨外翻,触摸髂骨内侧骨凸出处,2.0钻头于髂骨内侧面骨凸出处钻孔,1.5钻头于荐椎耳状面背内侧钻孔,丝锥攻丝,将髂骨复位,放置2.0mmx20mm螺钉固定,之后从螺钉背侧打入1.5mm髓内针固定,剪除多余髓内针。3/0Monosyn依次缝合臀中肌和荐棘肌、臀筋膜、皮下组织和皮肤。
3.4 髂骨体骨折内固定:将犬以同上方法左侧卧保定,皮肤切口始于髂嵴中心,向后延伸至大转子后下缘。切开皮下组织、臀部脂肪和浅筋膜,并与皮肤一同牵引开。沿皮肤切口线,切开臀深筋膜,以便切开阔筋膜张肌与臀中肌之间的肌间隔。该切口从髂腹侧棘向后延伸至股二头肌前缘。也可沿股二头肌前缘切开筋膜,形成一个T形筋膜切口。牵开臀中肌,显露臀深肌和部分髂骨体。在骨中肌起点作一切口,始于髂腹侧棘后侧,根据需要可向前背侧延伸。臀中肌和缝匠肌的肌纤维交织在一起,需在两肌间作部分锐性分离。结扎位于髂骨腹侧缘的髂腰血管。开始切开臀深肌起点,以便将该肌向后牵引。 骨膜下剥离诸臀肌,显露髂嵴、髂骨翼和髂骨体。髂骨体和髋臼前缘显露过大有可能损伤分布到阔筋膜张肌的臀前动、静脉和神经的分支。沿髂骨体腹侧缘分离髂肌,常导致切断髂骨体腹侧面的一营养动脉。被切断的动脉必须烧烙或用骨蜡堵塞止血。复位钳复位骨折部位,骨板塑性后采用临时固定螺钉在两侧进行临时固定,采用1.5mm钻头在断端钻孔采用2.0皮质自攻螺钉固定,其他螺钉分别按顺序植入,3/0Monosyn将臀中肌筋膜和缝匠肌缝在一起,沿此缝合线连续向后缝合臀中肌和阔肌膜张肌,分层缝合臀深脂肪和筋膜.皮下组织和皮肤。

1. 术后护理和预后
术后后抗生素消炎,美洛昔康止疼,止血,每天理疗灯辅助伤口愈合,三天后开始高压氧辅助治疗。
术后第一天整体状态较为良好,双后肢不能站立,需要人工辅助,导尿管和内袋未见血尿,尿液颜色较深,精神状态一般,食欲一般,术后第3天,可以自行站立,未敢自行走路,需要人工辅助,尿液正常,术后第5天拆除导尿管后可以自行排尿,术后第6天开始可以自行走路,步态不稳,但不需要人工辅助,尿液正常。术后第10天步态较为正常,出院回家调养。术后20天回访主诉恢复良好。
2. 讨论
5.1
膀胱造影是诊断本病的最佳方法,但不论是空气还是造影剂,都不可能达到无菌,因此怀疑本病进行造影时,要尽量给予小剂量的造影剂,只要达到诊断的目的即可。导致膀胱破裂的因素有外伤性、自发性及其他原因。其中外伤是膀胱破裂的主要因素。若及时治疗则预后良好,一旦拖延发展成尿毒症则预后不定。自发性导致膀胱破裂的原因较多:膀胱本身的病变如麻痹或者肿瘤等,膀胱的机械性梗阻如结石、前列腺增生等。这类因素导致的膀胱破裂通常预后不良。
5.2
拉力螺钉的原理与选择拉力螺钉是螺纹只嵌入远端皮质骨而产生的,当螺钉转紧时,螺钉头部会接触到近端骨皮质,随着骨螺钉轴向的前进会造成两断片互相压迫,拉力效应可以借由只有部分有螺纹的螺钉来达成,或是使用皮质骨螺钉但近端骨皮质钻大一点,使得螺纹无法嵌入骨头,这种被钻大的孔称之为滑动孔,应用于荐髂关节脱位在髂骨上钻的孔即是此类。荐髂关节脱位的拉力螺钉放置必须足够精准,首先要咬合住60%以上的荐椎宽度,否则容易松脱不稳定,若是骨螺钉放置过于背侧而损害神经会造成大小便失禁,或是过于腹侧而伤及髂骨血管系统则会引起致命性的大出血。螺钉的长度选择可以在手术中选用比总深度短2mm的骨螺钉,以防止骨螺钉触碰导孔底部而无法达到压缩关节的作用。同时也可增加垫片来降低骨螺钉头部穿过髂骨的风险。
5.3
髂骨体内固定术打开通路时当牵引股二头肌或用持骨钳钳夹髂骨时,需要注意坐骨神经,因该神经紧贴髂骨体背内侧面,只能小心牵拉,臀前血管和神经一般均需要保护,同时放入的骨板不易过长,过长可能会影像髋关节的活动导致手术失败,术中可以扩大手术视野根据实际情况裁剪骨板长度。
参考文献:
1. 犬猫骨骼与关节手术入路图谱(第4版)候加法主译
2. 小动物软组织手术.袁占奎主译
3. 一例猫单侧荐髂关节脱位的病历报告.宋威.宠物医师网文章
4. 一例犬荐椎骨折和荐髂关节脱位病历分析.张彬,宠物医师文章。
主治医生:匡文 #惠州宠物医院#爱德茂宠物医院#犬骨折#江北宠物医院#萌宠
Copyright © 2012-2022 爱德茂宠物医院 版权所有 备案号:粤ICP备2023011162号